반응형
추운 겨울이 지나고 봄이 시작되는 3월이 다가오면 생각나는 3월제철음식 3가지 알아봅니다.
첫 번째 냉이
쌉쌀한 맛과 향이 일품인 대표적인 봄나물 냉이는 채소중에서도 단백질 함량이 최고로 꼽힙니다.
비타민A와 비타민C 칼슘의 함량이 풍부하여, 따뜻해진 날씨로 신진대사가 활발해져 피곤함을 느끼는 봄철 춘곤증을
해소하는데 큰 도움을 줍니다.
두 번째 달래
달래는 톡 쏘는 매운맛과 향이 독특하여 된장과 간장에 잘 어울리는 대표적인 봄나물입니다.
다섯가지 맛이 함께 있다하여 오신채라고도 불리는 달래는 혈관을 확장시켜 콜레스테롤 수치를 낮추고 혈관 건강을 개선하는 효과가 있으며 풍부한 비타민과 무기질로 세포를 강화하고 몸의 활력을 증진시키는데 탁월한 능력이 있습니다.
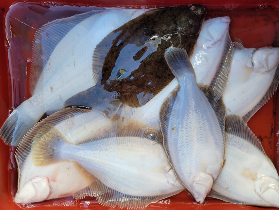
세 번째 도다리
가을에는 전어, 봄에는 도다리라는 말이 있듯이 봄은 도다리의 맛을 제대로 즐길 수 있는 계절입니다.
흰살 생선인 도다리는 단백질은 풍부하고 칼로리는 적은 다이어트 고영양 식품이며, 동의보감에서는 단맛을 내는 생선으로 양기를 움직여 허약체질을 보강하는데 도움을 주는 음식으로 기록 되어 있습니다. 경남 통영의 대표적인 음식인 도다리쑥국은 봄철 보양식으로 인기있는 메뉴입니다.
반응형
'건강상식' 카테고리의 다른 글
마그네슘을 꼭 먹어야 하는 이유. 마그네슘 효능 (0) | 2024.04.16 |
---|---|
종이 호일에서 미세플라스틱이 나온다고? (0) | 2024.03.22 |
2월에 꼭 먹어야 될 제철음식 4가지 (2) | 2024.02.04 |
건강하게 아침 공복에 물 마시는 습관 (0) | 2024.02.04 |
여성이면 더 챙겨 먹어야 하는 음식 3가지 (0) | 2024.02.04 |